Public Notice to Permanently Close and Convey an Unopened Municipal Road Allowance
IN ACCORDANCE WITH Section 34 of the Municipal Act R.S.O. 2001 as amended, and the Townships Public Notice Policy notice is hereby provided that the Council of the Corporation of the Township of Stone Mills has received a request(s) from abutting landowners to close and convey an un-opened municipal road allowance as follows:
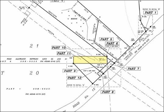
Parts 6, 10, and 11 on Plan 29R-11577, being Part of the Road allowance Between Lots 20 & 21, a portion of which is included with this notice.

Any person who claims that their lands will be prejudicially affected by the closing and conveyance of this highway, or who has knowledge of why this closing and conveyance should not proceed, may make a representation at a Regular Council meeting scheduled as follows:
April 13, 2026 at 6:30 P.M.
Centreville Hall Township of Stone Mills
4504 County Road 4, Centreville, Ontario
Alternatively, any person who claims to be affected by the closing and conveyance of this highway, or who has knowledge why this closing and conveyance should not proceed may submit a letter to the undersigned prior to the meeting date.
Additional information or a copy of this request may be obtained by contacting the undersigned during regular business hours at the Municipal office located at 4504 County Road 4 in Centreville, or visit the Civic Web Portal under the stated meeting date at:
https://stonemills.civicweb.net/portal/
Dated at Centreville this 10th day of March 2026.
Fiyin Olunuga, Development Services Coordinator
Township of Stone Mills
Email: molunuga@stonemills.com
Contact Us
Township of Stone Mills
4504 County Rd 4
Centreville, ON K0K 1N0
Phone: 613-378-2475
Hours of Operation
Monday: 8:30am - 6:00pm
Tuesday-Thursday: 8:30am - 4:30pm
Friday: 8:30am - 12:30pm
Sign up to our Newsletter
Stay up to date on the Township's activities, events, programs and operations by subscribing to our eNewsletters.